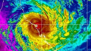
The insurance and reinsurance industry loss from the impact of Cyclone Debbie has now passed AUS$1.4 billion (US$1.1bn) from 66,000 claims, prompting the Senate Standing Committee on Economics to back the Insurance Council of Australia’s (ICA) call for AUS$200 million (US$157mn) a year to be invested in natural disaster mitigation.
The 66,000 claims from the impact of Cyclone Debbie stretch from far north Queensland to northern New South Wales, Australia, after the storm struck the regions over March 28th 2017 and into early April, driving insurance and reinsurance industry losses of more then AUS$1.4 billion.
This is the latest insured loss figure from the ICA, and comes after PERILS AG recently increased its estimate to AUS$1.411 billion (US$1.1bn), and reinsurer Munich Re put the loss at an estimated US$1.4 billion (AUS$1.78bn).
In an effort to improve the mitigation of natural disaster risks and build disaster resilience in the country, in light of its exposure to catastrophe risks – as highlighted by Cyclone Debbie’s constantly rising loss estimates – the ICA called on the Federal Government to invest at least AUS$200 million a year.
The Federal Government rejected calls to increase investment for mitigation and resilience, that would be matched by the states and territories, to at least AUS$200 million a year. Now, a report from the Senate has urged the government to reconsider its stance and response to the Productivity Commission’s inquiry into Natural Disaster Funding Arrangements.
“The ICA agrees the Federal Government should reconsider its response to the Productivity Commission. Investing at least $200 million a year in mitigation and resilience should be treated as nation building that protects vulnerable communities for generations,” said Rob Whelan, Chief Executive Officer (CEO) of the ICA.
According to Whelan, the report from the Senate concludes that insurance premiums appropriately reflect the level of risk.
“The industry is also pleased the committee is encouraging the Australian Securities and Investments Commission in its work on regulatory change to enable insurers to communicate with customers with the same flexibility as other financial services.
“Many of the recommendations are already being addressed by the ICA through initiatives including the Disclosure Taskforce and the review of the General Insurance Code of Practice, through measures being implemented by insurance companies and through existing government programs,” continued Whelan.
So far, the committee has received evidence from consumer groups, regulators and the industry that price comparison websites simply don’t enable customers to select the best solutions for their needs, explained Whelan.
“Insurance is highly complex. You can’t compare insurance products as though you’re comparing cans of soft drink, and each insurer’s product is competitive on its features as well as its price. The ICA notes the recommendation relating to a price comparison tool but believes enough evidence has already been provided to demonstrate a government-run aggregator would not stand up to a cost-benefit analysis,” said Whelan.





